Myrica cerifera

Myrica cerifera L.

Synonym: Morella cerifera

Common Names: Wax Myrtle, Bay Berry, Wax Berry, Mickle Berry, Muckle Bush, Wild Tea

Family: Myricaceae

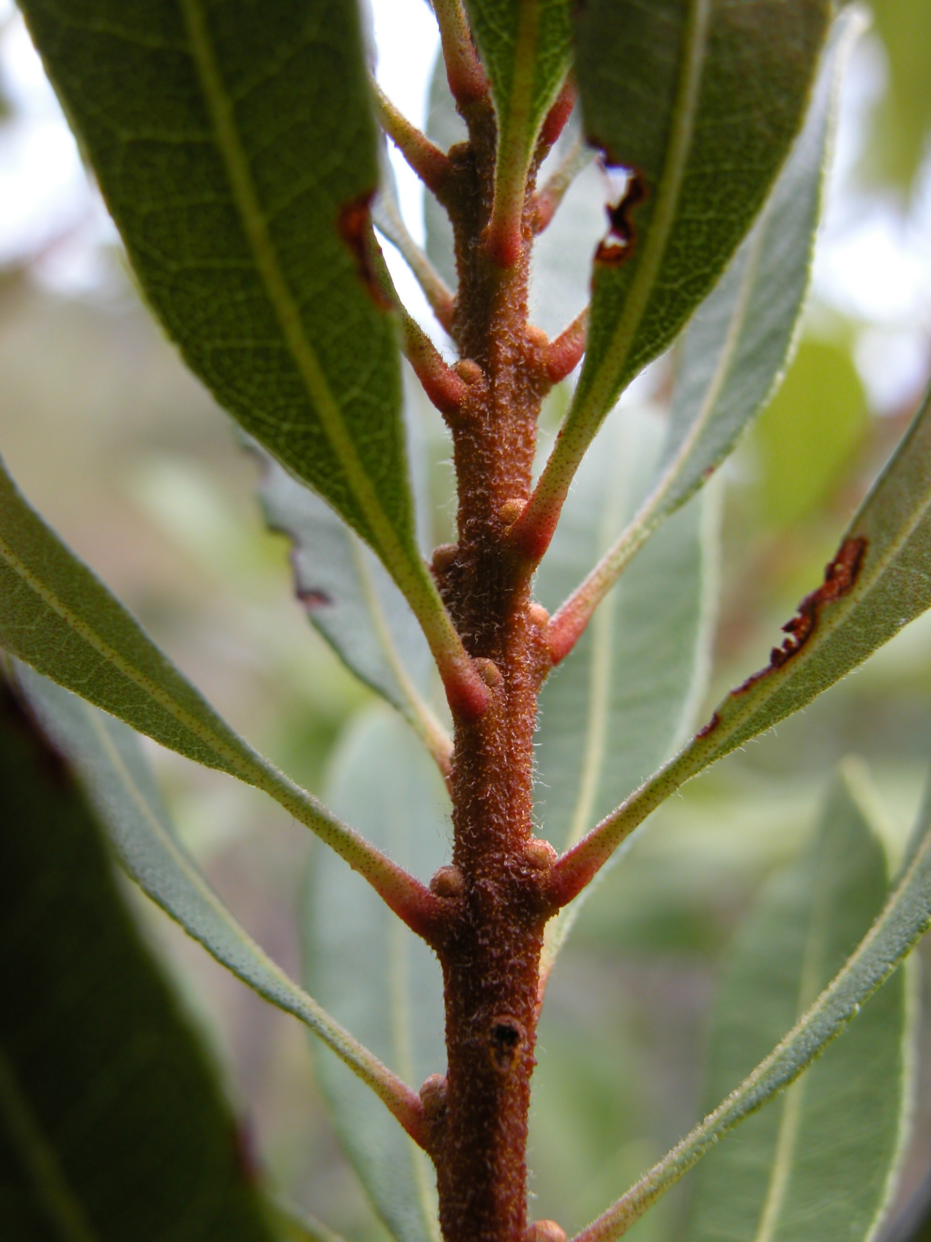
Habit: Myrica cerifera grows as a shrub to tree up to 12 m in height with grey bark.  The leaves are arranged alternately, to 10 cm long, oblanceolate, with an entire or dentate leaf margin and an acute leaf apex. The leaves have glandular spots on both the ab- and adaxial surfaces and are fragrant when crushed. Young stems and petioles are reddish brown and slightly pubescent.

Myrica cerifera is dioecious. The incomplete, imperfect actinomorphic, flowers are arranged in catkins in leaf axils. Staminate flowers consist of a bract with 2-6 stamens and no carpels. Carpellate flowers there are 5 bracts, no stamens, and one ovule.  The fruit is a waxy blue drupe.

Habitat: Myrica cerifera grows around Fresh Water wetlands, Pine Woodlands, and in wet Dry Broadleaf Evergreen Formations – Forests/Shrublands (coppice).

Distribution: Myrica cerifera occurs throughout the Lucayan Archipelago as well as the Caribbean region, Mexico, Central America and the eastern and southern United States.

Medicinal/Cultural/Economic usage: Myrica cerifera is used medicinally in the Lucayan Archipelago to obstetric and gynecological issues and to treat certain types of pain

It is used in horticulture and wax can be derived from it and used in perfumes and candles.