Pera bumeliifolia

Pera bumeliifolia Griseb.

Common Names: Black Ebony

Family: Peraceae

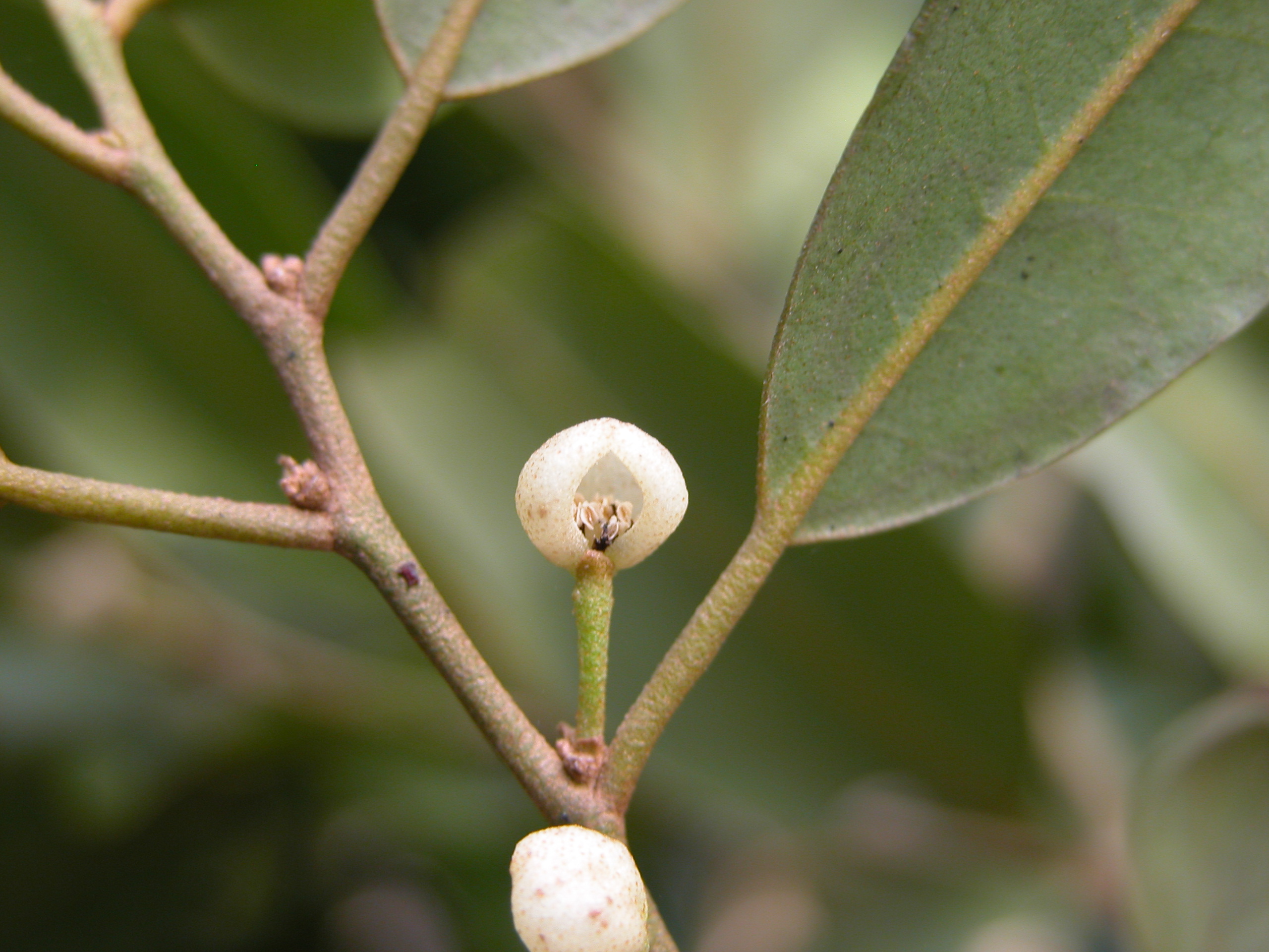
Habit: Pera bumeliifolia grows as a small to medium tree up to 12 m in height. The stems and leaves with lepidote scales. The leaves are arranged alternately, elliptic, to 12 cm in length with an entire margin and rounded/obtuse leaf apex.

Pera bumeliifolia is dioecious. The incomplete, imperfect, zygomorphic, flowers are arranged in involucres in leaf axils. Staminate flowers have 5, unfused, green, ciliate, sepals in the calyx.  There is no corolla. There are 4 or 5 stamens and no carpel.  The carpellate flowers have no calyx, corolla or stamens. The superior ovary has 3 locules. The fruit is a 3-parted capsule.

Habitat: Pera bumeliifolia grows on a limestone substrate in Dry Broadleaf Evergreen Formations Forests/Shrublands (coppice).

Distribution: Pera bumeliifolia occurs in the northern island groupings in the Lucayan Archipelago, Cuba and Hispaniola.

Medicinal/Cultural/Economic usage: Pera bumeliifolia is used not known to be used medicinally in the Lucayan Archipelago.